设为首页
加入收藏
繁体中文
简体中文
无障碍阅读
长者专区
搜 索
热门搜索:
搜 索
首页
新闻动态
政府信息公开
政务服务
政民互动
专题专栏
走进阳新
数据开放
首页
新闻动态
政府信息公开
政务服务
政民互动
主题专栏
走进阳新
数据开放
当前位置:
首页
>
政府信息公开
>
法定主动公开内容
>
规划信息
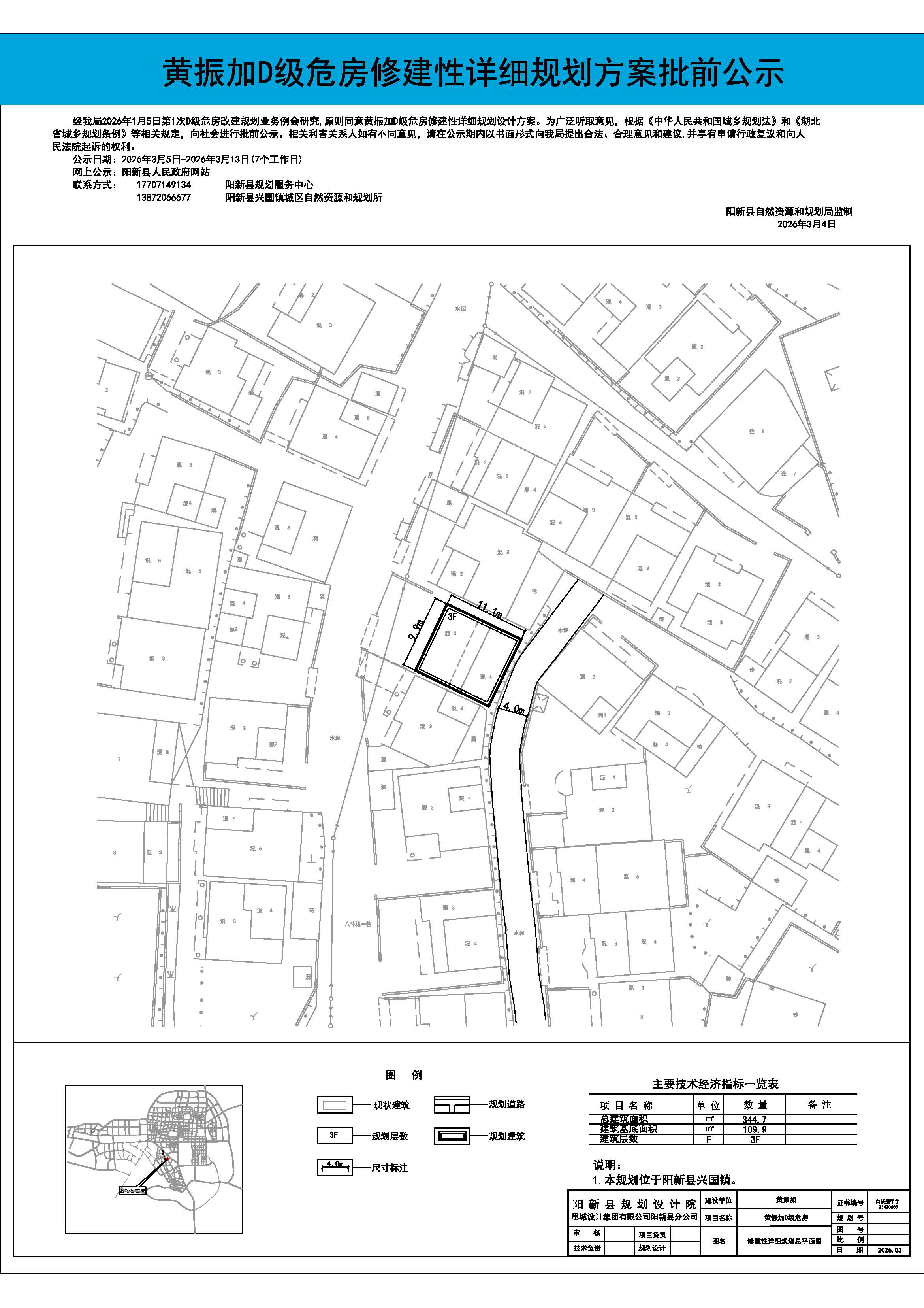
黄振加D级危房修建性详细规划方案批前公示
发布时间:2026-03-06 11:13
|
来源:县自然资源和规划局
扫一扫在手机上查看当前页面
点击咨询智能客服