设为首页
加入收藏
繁体中文
简体中文
无障碍阅读
长者专区
搜 索
热门搜索:
搜 索
首页
新闻动态
政府信息公开
政务服务
政民互动
专题专栏
走进阳新
数据开放
首页
新闻动态
政府信息公开
政务服务
政民互动
主题专栏
走进阳新
数据开放
当前位置:
首页
>
政府信息公开
>
法定主动公开内容
>
重大建设项目
>
竣工验收
名称
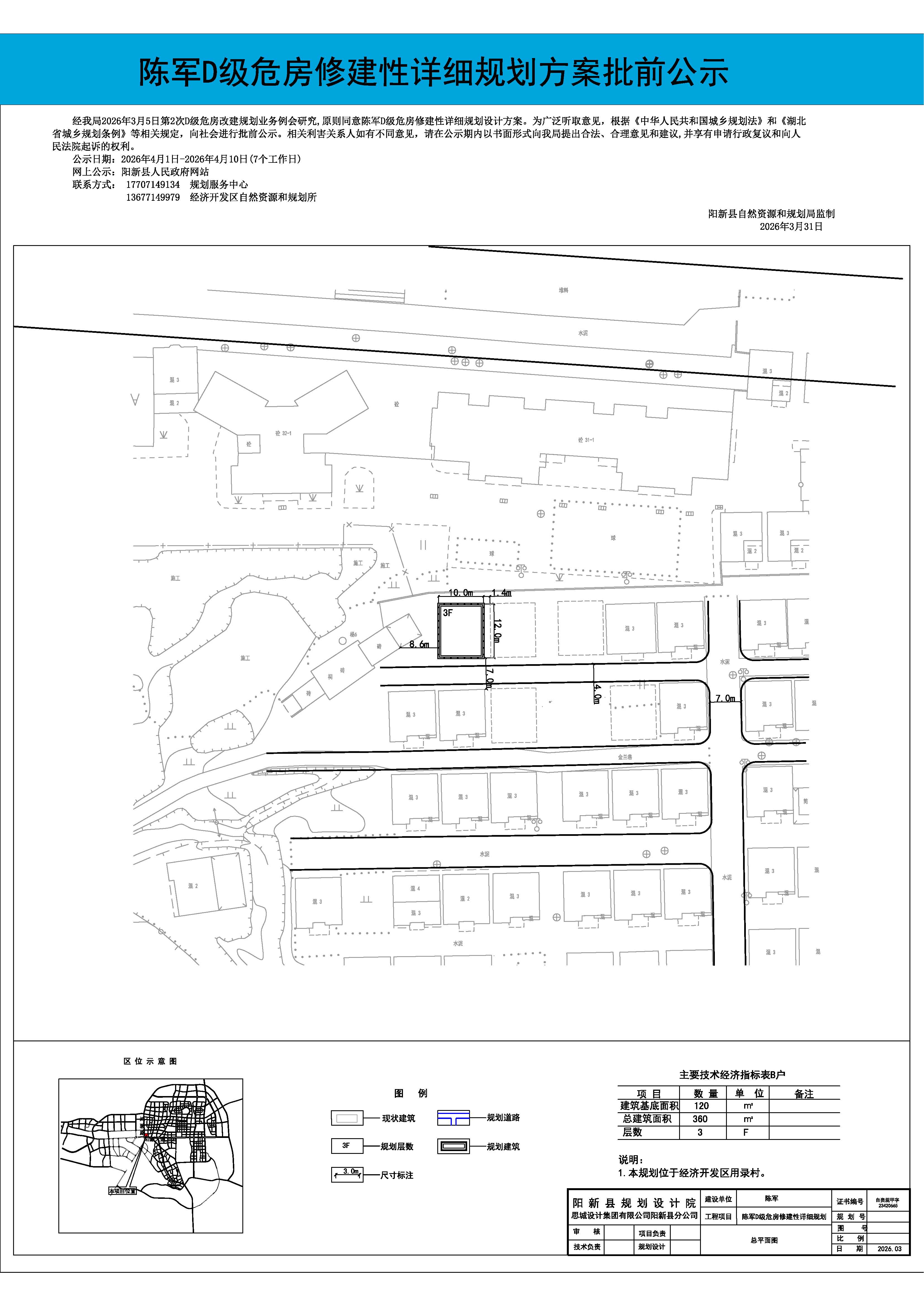
陈军D级危房修建性详细规划方案批前公示
索引号
000014349yx_zrzyhghj/2026-00404
发布日期
2026-03-31
发布机构
县自然资源和规划局
文号
文件分类
自然资源、能源
所属机构
县自然资源和规划局
陈军D级危房修建性详细规划方案批前公示
扫一扫在手机上查看当前页面
打印
关闭
点击咨询智能客服